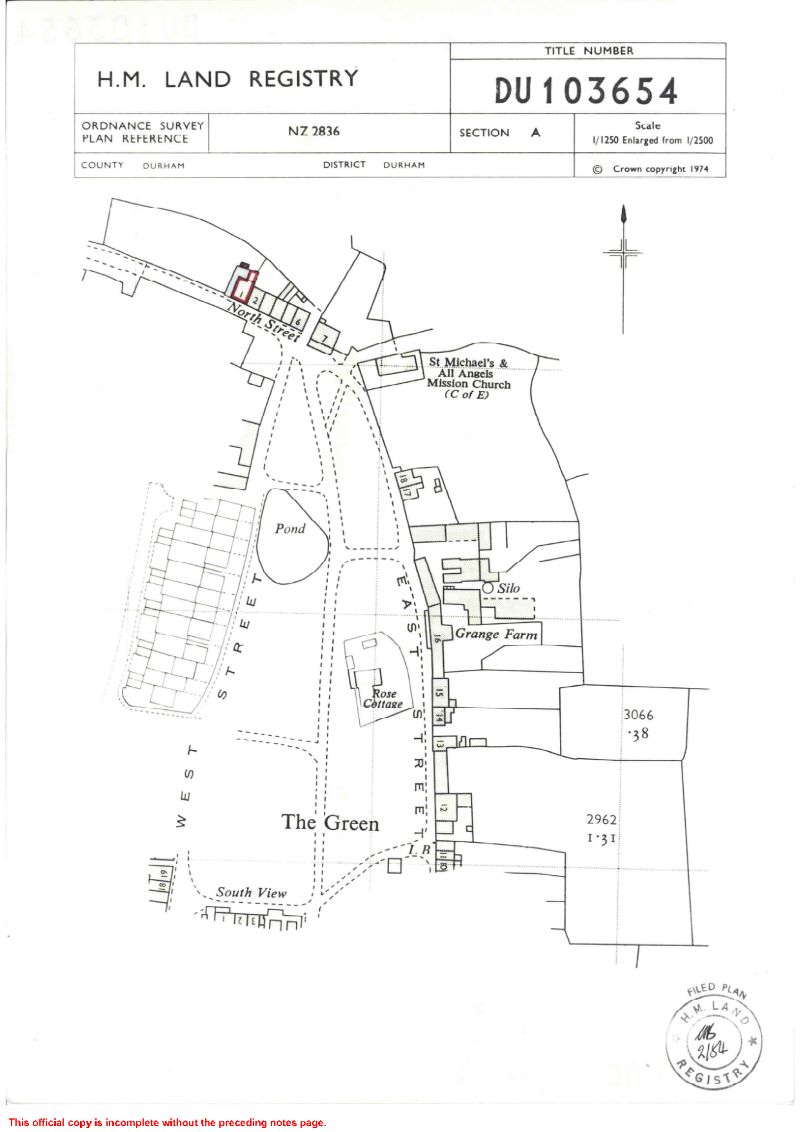
1 North Street, Hett, Durham, County Durham, DH6 5LR

  • Conditional Online Auction Sale
  • Guide Price* : 210000
  • Bedrooms: 2

Land For Sale by auction. 2 Parcels, and one end terraced house. Sold as one complete lot. The house is at the entrance to the village from the Northern end, with the first plot of land being the last remaining infill piece of land in the village, and situated near to the village pond. The plot could be considered for a variety of uses subject to the relevant planning permission.

Description

Land For Sale by auction. 2 Parcels, and one end terraced house. Sold as one complete lot. The house is at the entrance to the village from the Northern end, with the first plot of land being the last remaining infill piece of land in the village, and situated near to the village pond. The plot could be considered for a variety of uses subject to the relevant planning permission. The second plot is currently used as a paddock with good fencing and a gate from a good access via a lane.
The house consists of two bedrooms and a large bathroom upstairs. This presents an ideal investment opportunity and requires refurbishment. For further information, please contact the office.

* Generally speaking Guide Prices are provided as an indication of each seller's minimum expectation, i.e. 'The Reserve'. They are not necessarily figures which a property will sell for and may change at any time prior to the auction. Virtually every property will be offered subject to a Reserve (a figure below which the Auctioneer cannot sell the property during the auction) which we expect will be set within the Guide Range or no more than 10% above a single figure Guide.

Loading the bidding panel...

Joint Agent

Dynamic Property Group

Agreement Documents

Related Documents

Make an Enquiry

Submit an enquiry and someone will be in contact shortly.

 
*  
*  
*
*
*

Share